TACKLEFEVER
das Angel- und Echolot-Forum für "Leute wie DU und ICH"
Willkommen
Gast
. Bitte
einloggen
oder
registrieren
. Haben Sie Ihre
Aktivierungs E-Mail
übersehen?
1 Stunde
1 Tag
1 Woche
1 Monat
Immer
Einloggen mit Benutzername, Passwort und Sitzungslänge
Forum Übersicht
Portal
Hilfe
Einloggen
Glossar
Registrieren
Impressum
Datenschutzerklärung
TACKLEFEVER
»
Allgemeine Forenbereiche
»
Angelreisen Angelurlaub
»
Unterwasser Bilder
Drucken
Seiten: [
1
]
Nach unten
Autor
Thema: Unterwasser Bilder (Gelesen 9777 mal)
dominik sabalo
Moby Dick
Beiträge: 2105
Die weise des Wals der Buckel und der Kiefer
Unterwasser Bilder
«
am:
14 Juni 2015, 15:26:15 »
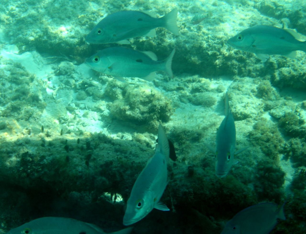
Hier die versprochenen Unterwasserbilder:
Das Gehäuse hat dicht gehalten
Und überraschenderweise wurden die Bilder an Land, trotz Vorsatzglas auch ganz gut.
Man erkennt das wesentliche
Gespeichert
Pfand counter 2023:
25 Cent : XI
Luke
Administrator
Beiträge: 9285
Luke Rheinwalker
My/Mein Tackle Equipment: Speedmaster, Beastmaster, Pezon et Michel, Viento, Twin Power, Stradic und anderes.
My/Mein Echo Equipment: HDS-9 Carbon, Elite-12 TI, HOOK2-7 HDI(SS), HDS-7 G3, HDS-7 G2T, Elite-7 Chirp, Motorguide Xi5, Humminbird ASGRHA, Raymarine Dragonfly-5Pro, ReefMaster
Re: Unterwasser Bilder
«
Antwort #1 am:
21 Juni 2015, 14:22:05 »
Meine Favoriten:
Das Auge des Tigers
Man kuckt der Böse.
Alien Invasion.
Gespeichert
Grüße
Luke
Mekongwels
Hecht
Beiträge: 902
My/Mein Echo Equipment: Raymarine Dragonfly-7Pro und Element 12HV
Re: Unterwasser Bilder
«
Antwort #2 am:
21 Juni 2015, 16:01:52 »
Very nice!
Gespeichert
Boot:
Jeanneau Cap 400 Console, Rigiflex
Häger
Barsch
Beiträge: 448
Re: Unterwasser Bilder
«
Antwort #3 am:
21 Juni 2015, 16:59:04 »
Hammer Hammer Hammer
Gespeichert
Pälzer-Buu
Zander
Beiträge: 1256
My/Mein Tackle Equipment: too much...
My/Mein Echo Equipment: GPSMap-721xs, GPSMap-527xs, Panoptix PS30, Striker 7+9 SV, TM150, GT52HW, CV52HW, iPad Air2 Garmin Helm
Re: Unterwasser Bilder
«
Antwort #4 am:
21 Juni 2015, 17:01:32 »
Die Bilder der Dolphins sind Klasse
Gespeichert
Bolle
Schwarmfisch
Beiträge: 72
Re: Unterwasser Bilder
«
Antwort #5 am:
25 Juni 2015, 09:10:42 »
Sieht super aus!!!!
Gespeichert
rolfb
Barsch
Beiträge: 322
My/Mein Echo Equipment: HDS-7 G2T
Re: Unterwasser Bilder
«
Antwort #6 am:
08 Juli 2015, 17:38:29 »
Tolle Aufnahmen, wie ich schon im anderen thema mit dem Gehäusetest geschrieben habe.
In groß sehen die Bilder noch besser aus.
Gespeichert
chucky
Hecht
Beiträge: 662
Re: Unterwasser Bilder
«
Antwort #7 am:
12 Juli 2015, 15:21:40 »
Ich muss auch mal mein Becken und die Fische zeigen.
Auch wenn das kein Vergleich ist zu den hier gezeigten Fischen.
Super geile Bilder.
Gespeichert
Luke
Administrator
Beiträge: 9285
Luke Rheinwalker
My/Mein Tackle Equipment: Speedmaster, Beastmaster, Pezon et Michel, Viento, Twin Power, Stradic und anderes.
My/Mein Echo Equipment: HDS-9 Carbon, Elite-12 TI, HOOK2-7 HDI(SS), HDS-7 G3, HDS-7 G2T, Elite-7 Chirp, Motorguide Xi5, Humminbird ASGRHA, Raymarine Dragonfly-5Pro, ReefMaster
Re: Unterwasser Bilder
«
Antwort #8 am:
12 Juli 2015, 16:40:28 »
Mach mal, da warten wir ja schon seit Anfang des Jahres drauf
Gespeichert
Grüße
Luke
chucky
Hecht
Beiträge: 662
Re: Unterwasser Bilder
«
Antwort #9 am:
28 August 2015, 23:15:25 »
Ja sorry bin ja nicht so oft da.
Gespeichert
Drucken
Seiten: [
1
]
Nach oben
TACKLEFEVER
»
Allgemeine Forenbereiche
»
Angelreisen Angelurlaub
»
Unterwasser Bilder